- Общество
- Политика
- Бизнес
- Авто
- Спорт
- Происшествия
- Наука
- Афиша
- Культура
- Новости компаний
- Погода
- ЖКХ
- Статистика
- Народный календарь
- Дороги и транспорт
- Закон и порядок
- Образование
- Экономика и финансы
- Благоустройство
- Здоровье
- Недвижимость
- Работа
- Фотофакт
- Экология
- СВО
- Наше будущее
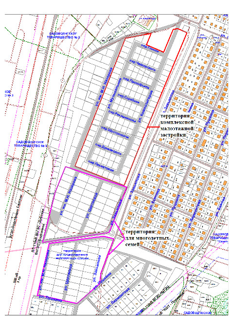
Новые улицы Чайковского назовут именами композиторов 
В Чайковском появятся улицы Композиторов, ул. Музыкальная, ул. им. М.Н. Назарова, пер. Глинки, пер. Чайковского, пер. Прокофьева, пер. Скрябина, пер. Шостаковича, пер. Дунаевского, пер. Рахманинова и пер. Пахмутовой. Такое решение было принято 14 августа на заседании комиссии по присвоению наименований улицам города. Так будут названы улицы «Завьяловского» микрорайона, расположенные на территории комплексной малоэтажной застройки, а также на земельных участках, предназначенных для многодетных семей.
На июньском заседании комиссии предлагался один из вариантов назвать улицы в честь русских писателей и поэтов, тем самым продолжив традицию данного микрорайона. Кроме того, жителям напомнили, что в 2015 году исполнится 175 лет со дня рождения великого композитора П.И. Чайковского и в городе проходят мероприятия, посвященные этой дате – реализуется проект «Галактика городов П.И.Чайковского. В связи с этим было предложено давать наименования улицам в честь деятелей отечественных культуры и искусства. Еще один вариант – не привязывать названия к чьим-либо именам. После того, как мнения разделились, было решено в течение 3 недель со дня заседания комиссии провести опрос общественного мнения, в результате которого жители должны были предложить наименования для улиц этой территории. Однако, горожане не проявили должную активность и комиссии пришлось самой выбирать наименования новых улиц. Также по многочисленным просьбам жителя нашего города одной из улиц присвоено имя Почетного гражданина города - Михаила Николаевича Назарова. Рассматривались названия улиц, которые будут расположены на территории, предназначенной для многодетных семей. Одна из них – продолжение ул. Завьялова, а с других двух сторон прилегают ул. Пушкина и ул. им. М.Н. Назарова. Между ними появится ул. Цветаевой. Также рассматривался вопрос о присвоении имени переулку, расположенному в Завьяловском микрорайоне между ул. Нагорная и ул. Октябрьская. Так как у 6 домов на этом участке разные адреса, то у служб быстрого реагирования всегда возникают проблемы с поиском нужного дома. В связи с этим совместно с проживающими здесь жителями было решено назвать эту территорию пер. Кузнечный. Кроме того, на заседании было выбрано наименование для новой остановки, появившейся рядом со строящимся сквером в микрорайоне «Текстильщик». После рассмотрения ряда предложений, все участники единогласно приняли решение присвоить объекту название «Пенсионный фонд».

Популярные новости
Никто не забыт
В Чайковском округе юнармейцы отдали дань уважения солдатам, чьи имена остались неизвестными, но чей подвиг навсегда вписан в историю Отечества.
Консультации для НКО станут ближе и удобнее
Фонд грантов губернатора Пермского края официально подписал соглашения с новыми консультантами в муниципалитетах. В Чайковском округе помогать некоммерческим организациям превращать идеи в победные проекты будет Чернов Михаил Юрьевич, исполнительный директор Фонда местного сообщества города Чайковского.
Теперь официально: проезд по улице 40 лет Октября в районе пруда закрыт
В среду, 19 ноября, начались подготовительные работы по замене трубы под автомобильной дорогой по улице 40 лет Октября.
Терпение лопнуло
Дорогу на улице 40 лет Октября возле пруда, где недавно произошло поднятие уровня, перекрыла сегодня жительница, которая пострадала от подтопления.
Клуб на Бурёнке: новоселье всё ближе
В с. Бурёнка Чайковского округа полным ходом идёт строительство сельского дома культуры. Завершить работы планируется в июле 2026 года.
Сохраняя историю
Три чайковских школьных музея стали победителями регионального этапа всероссийского конкурса музеев образовательных организаций.
Читайте также
Чайковский: самое интересное
Подпишитесь на наши новости
